Cisco Linksys E4200 - Built for the Fast Lane

Linksys brings a brand new design and blistering speeds of up to 450Mbps on this dual-band router. Integrated with a 3x3 radio design on 5GHz and 2x3 on the 2.4GHz band, we put the sleek E4200 to the test to see if it can provide both decent range and speed.

Redefining The E-Series

Linksys E-series routers have been referred to as ashtrays, dinner plates, and even UFOs since their augmentation last year. Hoping to change that impression, Cisco has since revisited the drawing board to recreate a swanky new N-router, which hopefully, is able to shun those awkward descriptions. Apart from its sleek and stylish outfit, Linksys' biggest marketing spin has to be the six internal antennas packed inside the E4200, capable of 3x3 MIMO spatial streams on the 5GHz band. Being a dual-band contender, the router also supports the more conventional 2.4GHz frequency (fixed at 2x3) on a simultaneous connection. 

Linksys has high hopes of winning consumers' hearts with the E4200 N-router, which sports six internal antennas and a sophisticated new look. With a supposedly beefier signal strengths and wider range, is this router dependable enough to make you fork out S$279 for?

Linksys has high hopes of winning consumers' hearts with the E4200 N-router, which sports six internal antennas and a sophisticated new look. With a supposedly beefier signal strengths and wider range, is this router dependable enough to make you fork out S$279 for?

Powered by a Broadcom BCM4718 chip, the E4200 is marketed, not surprisingly, as a compatible companion to fiber networks. Theoretically, it is capable of top speeds of up to 450Mbps on 5GHz, and 300MHz on 2.4GHz. Impressive, no doubt, although the device's real world performance matters more. Can the router's actual wireless throughput and range truly deliver? Recently, we understand the E4200 also earned a nod from the DD-WRT camp, which gives networking enthusiasts an alternative Linux firmware to tinker with. Last we checked, Linksys has also added support for native IPv6 Internet connections with its stock 1.0.02 (build 13) firmware as well. That's well and good. Now it's time to find out if the E4200 is competent enough to fill its big shoes.

Design And Build

External antennas are passe, if recent offerings from Linksys are anything to go by. Dressed in matte black shell with a grey "metallic" band slapped across the middle, the E4200 is by far the sleekest and classiest router we've laid hands on. It's a little less ostentatious than the glossy ASUS RT-56U, with a little more class to boot. One obvious upside is you get to display this router like a decorative accessory instead of stowing it away from view. Unlike conventional designs, this minimalist networking unit is also devoid of status indicators, save for a white LED-backlit Cisco logo which serves as a power indicator.  

With its clean lines and avant garde outfit, the E4200 is clearly the best looker from Linksys so far. The company's R&D team have worked towards a design which fits the aesthetics of a modern living space, and that includes the living room as well.

With its clean lines and avant garde outfit, the E4200 is clearly the best looker from Linksys so far. The company's R&D team have worked towards a design which fits the aesthetics of a modern living space, and that includes the living room as well.

You won't find too many LED indicators on the E4200 like most routers do. In fact, there is only one status indicator which moonlights as Cisco's logo. The white LED blinks when the router is initializing, and stays a solid white when the router is fully booted up.

You won't find too many LED indicators on the E4200 like most routers do. In fact, there is only one status indicator which moonlights as Cisco's logo. The white LED blinks when the router is initializing, and stays a solid white when the router is fully booted up.

The back panel features four standard Gigabit LAN ports, plus a single Gigabit WAN port for the modem. Crossover cables aren't required since auto-crossover features (Auto-MDIX) are supported as well. Additionally, a Wi-Fi Protected Setup (WPS) button and a sunken Reset button are also catered for. Further to the right sits a USB slot which serves various purposes. For starters, you may use it to share data from external storage devices via the router's NAS-like feature. Alternatively, transmission of multimedia content across the home network is also possible with the integrated UPnP Media Server. The E4200 is packaged with a Cat 5 cable, a 12V power adapter, and a CD containing the Cisco Connect software if you prefer to setup the router in a snap.

While Linksys' design may seem a little unconventional, the router's back panel is anything but. Four Gigabit LAN ports were found on the far left, followed by a Gigabit WAN slot for your modem. Apart from its USB and WPS options, the E4200 also features a power rocker on the extreme right.

While Linksys' design may seem a little unconventional, the router's back panel is anything but. Four Gigabit LAN ports were found on the far left, followed by a Gigabit WAN slot for your modem. Apart from its USB and WPS options, the E4200 also features a power rocker on the extreme right.

The E4200 is bundled with a 12V power adapter, an Ethernet cable, and a CD containing the Cisco Connect software. The Ethernet cable is only about a meter long. Keep that in mind if you have no plans to mount the router anywhere near your modem.

The E4200 is bundled with a 12V power adapter, an Ethernet cable, and a CD containing the Cisco Connect software. The Ethernet cable is only about a meter long. Keep that in mind if you have no plans to mount the router anywhere near your modem.

 

Cisco Connect And Web Interface Features

 

Cisco Connect

Surprisingly, the installation process wasn't as quick as anticipated. In fact, the setup took more than eight minutes before the router was finally initialized. On the up side, Cisco Connect enables you to configure the E4200 for basic usage without any prior networking knowledge. For example, it allows you to add computers to your network, set guest access, or enable parental controls with much ease. On the other hand, its limited functionality may frustrate enthusiasts since it does not provide access to the meatier advanced settings. The web browser can still be used for this purpose, fortunately. One minor gripe is the initial prompt to install Cisco Connect on the browser's splash page. We observed this only happens with the new native firmware (build 13). Also, a single SSID is given instead of discrete SSIDs for each frequency band.

Apart from the E4200's stellar hardware, Linksys has been pushing its user-friendly Cisco Connect software as well. The setup took longer than expected though, lasting almost nine minutes before the router was reinitialized and ready for use.

Apart from the E4200's stellar hardware, Linksys has been pushing its user-friendly Cisco Connect software as well. The setup took longer than expected though, lasting almost nine minutes before the router was reinitialized and ready for use.

 

As mentioned earlier, the E4200 is a simultaneous dual-band router with two discrete radios. It is odd that Linksys only assigns a single SSID via the the Cisco Connect application. And hey, don't ask us about the "ShinyDove" choice. It was given by default!

As mentioned earlier, the E4200 is a simultaneous dual-band router with two discrete radios. It is odd that Linksys only assigns a single SSID via the the Cisco Connect application. And hey, don't ask us about the "ShinyDove" choice. It was given by default!

Cisco Connect provides access to basic router configurations as well as parental controls. Adding PCs or notebooks to the network is a breeze too. However, expect more wacky names such as the "onion11" password for the guest access SSID.

Cisco Connect provides access to basic router configurations as well as parental controls. Adding PCs or notebooks to the network is a breeze too. However, expect more wacky names such as the "onion11" password for the guest access SSID.


Features

The router comes with a default IP address of 192.168.1.1, with "admin" as its ID and password assuming Cisco Connect wasn't used previously. For its web interface, Linksys has retained its sterile white and blue layout, although the detailed field settings and practical Help tips are a definite plus. We applaud features like its customizable QoS prioritization, guest access (up to ten clients), IPv6 support (with manual options for 6rd tunneling), VPN pass-through, plus an UPnP media server for streaming. Linksys' detailed Internet Access Policy (IAP) filtering system is worth a mention too, especially if you have kids at home. Essentially, you can restrict access from networked computers on a weekly schedule or block applications via various network protocols. The Disk Management application enables you to share specific folders or the entire drive. However, you can't assign specific read or write rights.      

The E4200 features NAS-like features with its Disk Management application, where you get to share out data from USB drives across the network. While it allows you to share specific folders or the entire drive's contents, it is not possible to assign read or write rights.

The E4200 features NAS-like features with its Disk Management application, where you get to share out data from USB drives across the network. While it allows you to share specific folders or the entire drive's contents, it is not possible to assign read or write rights.

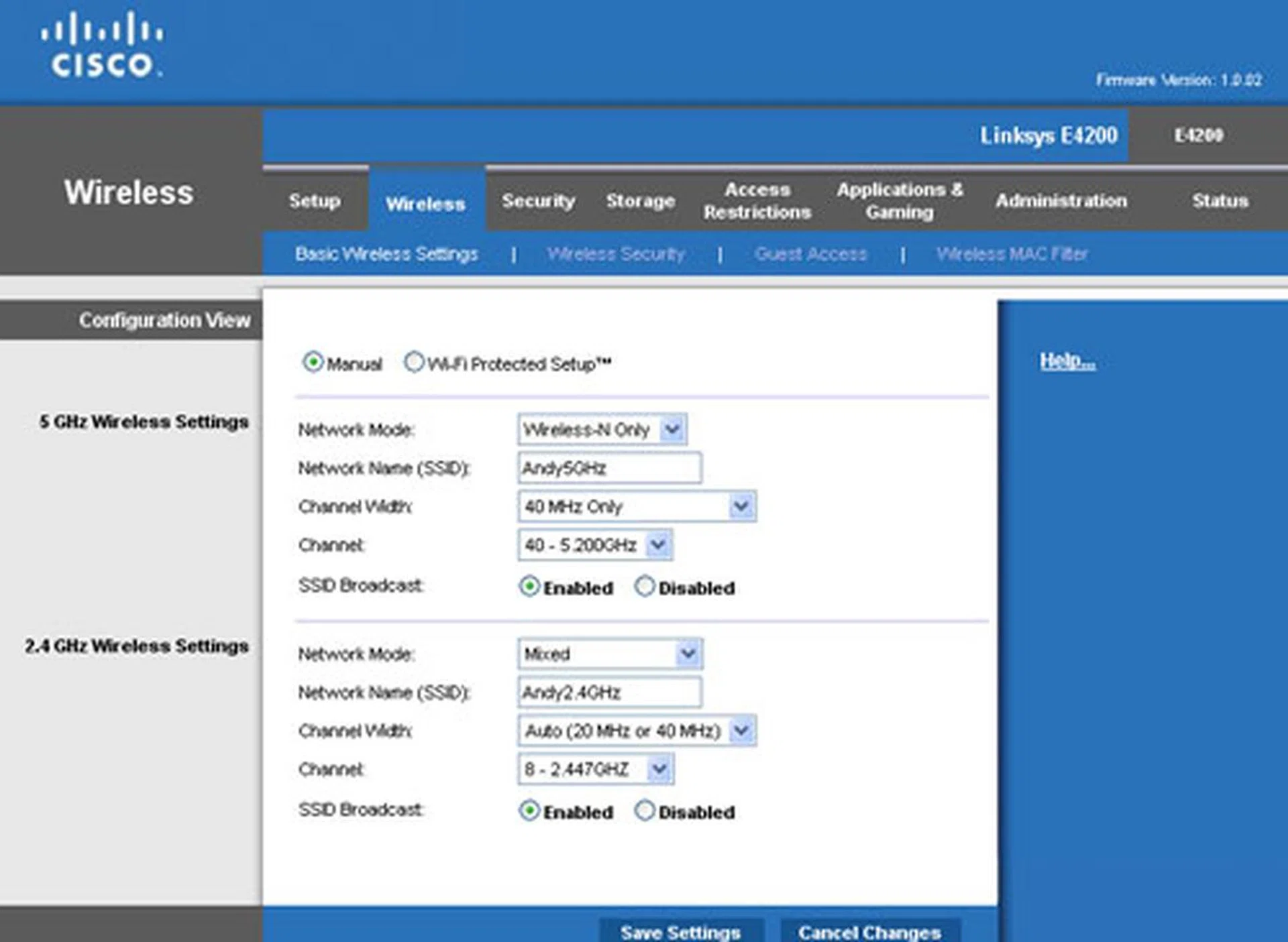
Choose between manual or WPS under the router's wireless setup. Other available options include mixed or specific network modes, plus 20MHz or 40MHz channel widths for the 5GHz band. As for wireless encryption, the E4200 supports the usual standards like WPA-Personal, WPA-Enterprise and WEP.

Choose between manual or WPS under the router's wireless setup. Other available options include mixed or specific network modes, plus 20MHz or 40MHz channel widths for the 5GHz band. As for wireless encryption, the E4200 supports the usual standards like WPA-Personal, WPA-Enterprise and WEP.

Linksys has siphoned its access restriction policies into two groups: Parental Controls and Internet Access Policy. Oddly, you can only enable one at any one time. You can also block applications based on their port range and network protocol.

Linksys has siphoned its access restriction policies into two groups: Parental Controls and Internet Access Policy. Oddly, you can only enable one at any one time. You can also block applications based on their port range and network protocol.

Test Setup

To create a wireless network scenario, our routine test setup typically includes a desktop PC, the reviewed router, and a wireless client. The desktop system (with a Gigabit Ethernet port) is designed to simulate a host machine, while the router in question acts as the gateway. And lastly, a notebook plugged with a dual band Wireless-N USB adapter fulfills the role of a wireless remote client.

To gauge the router's peak potential and to prevent any possibility of varying wireless standards used, the evaluated router is locked down at the 802.11n-only mode for both bands. The QCheck application provides an indication of the wireless throughput (TCP) and streaming (UDP) finesse between the host and client endpoints. TCP throughput is measured against a 1MB data packet, whilst any significant packet loss is registered with the UDP test. On the other hand, NetIQ's Chariot benchmark offers a more detailed account with average throughput and response time readings recorded over 30 seconds, based on a High Performance throughput script. Range is determined by the distance between the router and wireless client. Now, let's run through the results proper.

Chariot and QCheck Performance Testing 

Average Downlink Throughput (Mbps) - Chariot
Average Uplink Throughput (Mbps) - Chariot
Downlink TCP Throughput of 1MB (Mbps)
Uplink TCP Throughput of 1MB (Mbps)
UDP Streaming (kbps)
Time to transfer 1GB Zip file
2m
45.343
48.599
45.714
60.150
997.034 (0.0% loss)
2 min 57 seconds
10m
45.447
56.050
36.199
37.736
998.285 (0.0% loss)
3 min 21 seconds
25m
31.078
36.142
17.279
28.674
996.991 (0.0% loss)
N.A.
2m with WPA2-Personal
51.964
57.295
47.619
45.977
995.156 (0.0% loss)
N.A.

On the 2.4GHz band, it is apparent that the E4200's specialty lies with its stable throughput performance rather than impress with blistering speeds. As you can tell from UDP streaming figures, packet loss across all distances were almost non-existent as well. On average, the router clocked a healthy downlink speed of 45Mbps at 2 meters and a decent 31Mbps at 25 meters. Results improved slightly with WPA2-Personal enabled. We also observed that uplink speeds were marginally higher than downstream figures in most instances. Transfer of a 1GB file was completed in just under 3 minutes, although the ASUS RT-N56U only required a minute and 52 seconds to accomplish the transfer. On the other hand, the E4200 was able to match the N56U in the long range department, with both routers hovering around the 30Mbps mark.

A summary of the Linksys E4200 downstream throughput speeds on the 2.4GHz band. The E4200 impressed us with its consistent performance across all distances, although its average speeds failed to breach the 60Mbps barrier.

A summary of the Linksys E4200 downstream throughput speeds on the 2.4GHz band. The E4200 impressed us with its consistent performance across all distances, although its average speeds failed to breach the 60Mbps barrier.

A summary of uplink throughput results for the E4200 on the 2.4GHz radio. Observe that the router did slightly better at the 10 meter mark as compared to figures taken at 2 meters. This behavior is actually similar to its ASUS RT-N56U adversary.

A summary of uplink throughput results for the E4200 on the 2.4GHz radio. Observe that the router did slightly better at the 10 meter mark as compared to figures taken at 2 meters. This behavior is actually similar to its ASUS RT-N56U adversary.

Chariot and QCheck Performance Testing

Average Downlink Throughput (Mbps) - Chariot
Average Uplink Throughput (Mbps) - Chariot
Downlink TCP Throughput of 1MB (Mbps)
Uplink TCP Throughput of 1MB (Mbps)
UDP Streaming (kbps)
Time to transfer 1GB Zip file
2m

73.569

92.432
72.072
85.106
998.385 (0.0% loss)
2 min 03 seconds
10m
70.454
70.190
43.243
50.000
996.840 (0.0% loss)
2 min 26 seconds
25m
59.331
72.956
42.104
37.915
995.352 (0.0% loss)
N.A.
2m with WPA2-Personal
67.472
92.662
74.074
86.957
996.843 (0.0% loss)
N.A.

Pay closer attention to the average throughput results at 2 meters. Notice how the uplink numbers are significantly higher than the downstream results? This anomaly was further amplified with WPA2 encryption at close proximity. Generally, we expected the router's 5GHz results to surpass its 2.4GHz performance since it was a simple case of 3x3 versus 2x3 streams after all. At 10 meters, average throughput speeds were recorded at 70Mbps or thereabouts. At 25 meters, the E4200's downstream throughput clocked 59Mbps on average. It is not staggering fast, but at least it's almost twice as fast as test results gathered from the 2.4GHz band. However, it is apparent the E4200 was unable to breach the 100Mbps ceiling as ASUS did for distances near and far.

A summary of the E4200's downlink results on the 5GHz band. Throughput measurements were comparable at 2 meters (in blue) and 10 meters (in green). Linksys' lethal weapon might not be able to smash its ASUS competition, but it did exhibit very decent speeds and stability all round.

A summary of the E4200's downlink results on the 5GHz band. Throughput measurements were comparable at 2 meters (in blue) and 10 meters (in green). Linksys' lethal weapon might not be able to smash its ASUS competition, but it did exhibit very decent speeds and stability all round.

 

At 2 meters, the disparity between the router's encrypted and non-encrypted upstream results were almost indistinguishable. The E4200 also showed its resiliency at 25 meters with an average throughput of 72Mbps.

At 2 meters, the disparity between the router's encrypted and non-encrypted upstream results were almost indistinguishable. The E4200 also showed its resiliency at 25 meters with an average throughput of 72Mbps.

The Final Word

If we had to choose between the Linksys E4200 and ASUS RT-56U based on looks alone, then our verdict is clear. We'd pick the Linksys contender without question. The stylish E4200's deviation from the usual (and boring) router dress code is also what makes it appealing. Thankfully, it isn't laudable simply for its looks. The E4200 has many built-in features you might want in a modern day N-router, like its guest access and access policies. As proven in our lab tests, the router's 3x3 and 2x3 MIMO streams have translated into stable throughput figures, while its UPnP media server and IPv6 support also lends a hand to its multimedia and future-proofing accolades.

The E4200 has much to shout for - on paper at least. With six internal antennas and touted speeds of up to 450Mbps, this router has led us to the fray with high expectations of its possible potential. When evaluated, however, we were more impressed with its stable connectivity rather than its actual throughput speeds.

The E4200 has much to shout for - on paper at least. With six internal antennas and touted speeds of up to 450Mbps, this router has led us to the fray with high expectations of its possible potential. When evaluated, however, we were more impressed with its stable connectivity rather than its actual throughput speeds.

Essentially, the E4200 is a competent networking device (more so on the 5GHz band) with a decent range; just maybe not quite as fast as its ASUS adversary or Linksys' advertised speeds. Software wise, Cisco Connect can be useful for users unfamiliar with a router's configuration process. The application might not provide extensive choices, nor is it as snappy as Linksys claims it would be, but it does accomplish the task reasonably well. As for its price tag, $279 is quite a fair bit to fork out for a wireless router. Its consistent performance and comprehensive features (minus print server services), however, could make it a worthwhile consideration in the end. As we see it, Linksys biggest threat still lies with its cheaper and speedier ASUS RT-N56U nemesis. 

Our articles may contain affiliate links. If you buy through these links, we may earn a small commission.

Share this article